鳥取市空き家情報バンク(登録番号No.63) 更新日:
鳥取市では、空き家の利活用促進を図るため、「鳥取市空き家情報バンク」を設置しています。
運営は、鳥取県宅地建物取引業協会と連携し、行っています。
詳しくはこちらをご覧ください。⇒ 「鳥取市空き家情報バンク」
|
登録番号No.63 |
|
|
所在地 |
鳥取市立川町五丁目 (地図) |
|
物件種目 |
売買 |
|
売買条件(価格) |
809万円 |
|
間取 |
4SK |
|
交通 |
立川町五丁目バス停まで 徒歩1分 |
|
建築年月 |
S38年1月 |
|
建物構造 |
木造 2階建 |
|
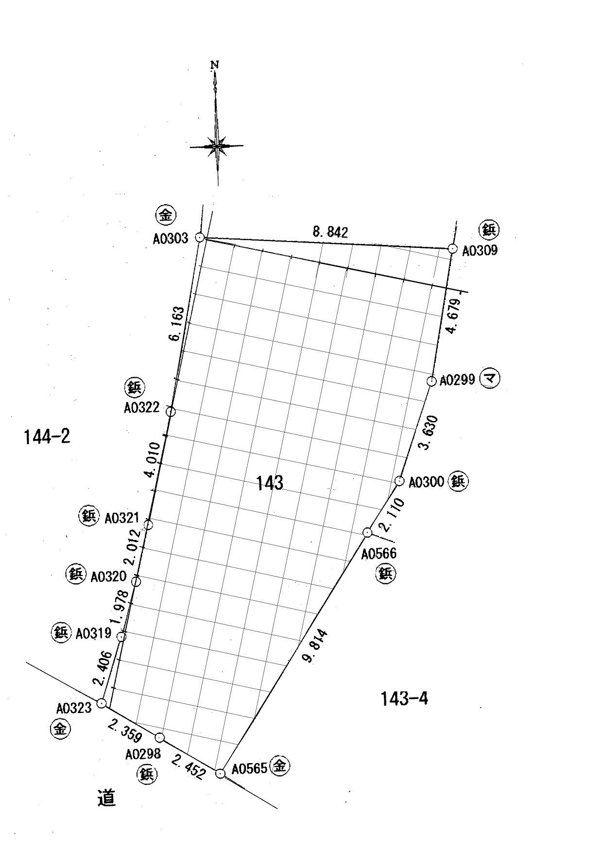
土地面積 |
133.85平方メートル(40.49坪) |
|
延床面積 |
98.11平方メートル(29.68坪) |
|
周辺環境 |
校区:稲葉山小学校、鳥取東中学校 |
|
備考 |
・建物未登記※現存しない建物登記あり ・工作物を壊せば軽自動車程度の空間が作れます。 |
|
専任媒介業者 |
※物件に関するお問い合わせ、詳細については、以下の専任媒介業者にお問い合わせください。 (有)住宅センター 所在地:鳥取市川端一丁目103 連絡先:電話番号 0857-24-8531 F A X 0857-24-8532 |
間取り図

内観写真


このページに関するお問い合わせ先
都市整備部 建築指導課 空家対策係
電話番号:0857-30-8364
FAX番号:0857-20-3956
電話番号:0857-30-8364
FAX番号:0857-20-3956